Seattle north of the ship canal has many neighborhoods which derived their names from plats of land development. Sometimes the naming was deliberate, such as Laurelhurst, in which the developers reconfigured the streets and promoted the sale of houses in the community they named and built.
Albert Balch, the developer of View Ridge and Wedgwood, did not deliberately set out to name these neighborhoods. These areas did not have a definite identity before Balch built plats of houses. As the population grew in the 1940s and 1950s, place names gradually evolved.
Wedgwood was a neighborhood of young married couples in those years. They had lived through World War Two in the 1940s and they were experienced in community-organizing such as for civil defense. They applied their organizing skills to their new neighborhood for fire protection, development issues, activities for families and mutual aid in weather events. Gradually the neighborhood began identifying with the Wedgwood name.
Wedgwood is the plat name for a group of harmoniously-designed houses built by Albert Balch in the 1940s, on the west side of 35th Ave NE between NE 80th to 85th Streets. The spread of Wedgwood as a name can be attributed to the first business to use it, the Wedgwood Tavern in 1946. As soon as the tavern adopted the Wedgwood plat name, other nearby businesses took up the name as well.
Chelsea, a vanished place name in northeast Seattle
Like LaVilla which doesn’t exist as a place name in northeast Seattle anymore, Chelsea is marked on the City of Seattle map but no one uses that name now, for what was once a real estate promotion.
We know from our exploration of plat names near today’s Nathan Hale High School, that in the early 1900s landowner Mae Yates gave the name Chelsea to NE 110th Street. The Yates house still marks the corner of 30th & 110th, with Nathan Hale High School now on the south side of the street.
In the 1920s a widow, Carrie Palmer, continued to use the name Chelsea for plats of house lots. Carrie Palmer’s real estate developments were on the east side of today’s Jane Addams Middle School, and she leased out a Chelsea Store at the corner of 34th Ave NE & NE 110th Street.
This blog article will show that in the 1920s “Chelsea” was used to advertise housing in northeast Seattle on or near NE 110th Street, though use of the name has disappeared in present times.
Chelsea’s real estate promoters in the 1920s
A charming description of a home wedding in August 1920 tells of a young couple who would have their first home in Chelsea.

The wedding of Samuel and Jasmine Ware in August 1920, with the note that they would establish their home in Chelsea. Seattle Daily Times, August 15, 1920, page 39.
The account of the Ware wedding ends with a sentence suspiciously like a real estate promotion. It seemed designed to prompt people to conclude that smart young couples were moving to Chelsea.
We might wonder how this newlywed couple, only 23 years of age, could afford to buy their own home. We presume that they either had family help or they were able to buy their first home on contract. We also know that Samuel & Jasmine had each been working since they were eighteen years old. Samuel had worked in the mail room of the Seattle Times newspaper and he was also drafted into military service in 1917. Before his marriage, Samuel obtained a good job with the telephone company.
Jasmine and one of her sisters, Dorine, worked as milliners and perhaps their expertise with flowers and decorations are reflected in the description of the next home wedding, that of Dorine in 1922. The news article about Dorine’s wedding (posted at the end of this blog article) described Samuel & Jasmine Ware as out-of-town guests because they lived in Chelsea.
Developers were quick to capitalize on events which would help sell their properties, such as the Wares’ wedding announcement in the newspaper. The bride’s father, William Ernst, was a prosperous metal manufacturer and his name would likely be recognized by some readers of the article about the Ernst-Ware wedding. The description of the newlyweds’ new homesite in Chelsea, implied that Mr. Ernst approved of the new life that his daughter was launching. In the early years of the development of Lake City, the name Chelsea was used to characterize the desire of young couples like the Wares, to have their own home.
The growth of Lake City
Today’s Lake City in north Seattle has a large business district on Lake City Way NE centered around NE 125th Street. The name “Lake City” developed gradually through popular use and surprisingly the present business district was not the original Lake City.
Lake City Way NE was not yet put through when early 1900s real estate developers began promoting “Lake” on the shore of Lake Washington. It was not until the 1920s when car ownership rose sharply, that more roads were developed out to northeast Seattle.
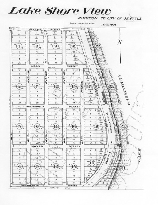
The first group of “Lake City” house lots were clustered close to the shore of Lake Washington, accessible mainly by boats which could dock at NE 100th or 115th Street. The first plats of house lots advertised in 1906 were called Lake Side City and Lake Shore View.
The plat map of Lake Shore View below, shows a train depot at McLaughlin Street (NE 100th Street). McLaughlin was one of the development company members, the same group as had named and developed Laurelhurst. The railroad line was mainly for freight and has been preserved as today’s Burke-Gilman Trail. At the NE 100th Street boat dock a “Lake” sign proclaimed the landing point to the new development.
Chelsea and the road to northeast Seattle
Two events may have contributed to the predominance of the Chelsea name in real estate advertising in the 1920s, rather than the use of the Lake Side City or Lake Shore View plat names.
One trend was the early advertising of Chelsea, beginning in 1917, by landowners Melvin & Mae Yates who lived on-site at 3004 NE 110th Street. The promoters of Lake Side City may have thought that Chelsea was a more attractive name, or at least with more recognition.
The second reason for the use of Chelsea as the name for real estate promotion, was that Chelsea was on a road, something that Lake Side City/Lake Shore lacked. In the announcement for the wedding of Samuel & Jasmine Ware, the road is referred to as the Bothell Highway, also called Gerhard Erickson Road.
In 1913 a highway from Seattle to Bothell had been put through. This highway was called the Gerhard Erickson Road and later called the Old Bothell Highway, and its route was to the east of the present Lake City Way. The road went up the west side of today’s Nathan Hale High School (now 30th Ave NE), then turned across NE 110th Street. After traveling eastward from 30th to 35th Avenues NE, drivers had to turn again to continue northbound on 35th Ave NE.
This road had an easy-to-find landmark with its Chelsea store & gas station at the corner of NE 110th Street and 35th Ave NE. Developers used it to help their advertising and indicate the convenience of Chelsea.

The plan for the new Victory Way in 1921 — today’s Lake City Way NE. The dotted line is the old Gerhard Erickson Road. Photo from the Seattle Daily Times of March 14, 1920, page 5.
Identifying a neighborhood by census district
Another way of identifying a neighborhood is by the name of the Enumeration District assigned during the census. Every ten years in the USA a census is taken, whose main purpose is to count the population and assign congressional representatives in proportion to population.

The Morningside Market in Wedgwood opened in 1926 with a grocery on one side and a butcher shop on the other.
For the census of 1930 the name Morningside was applied to the enumeration district north of NE 85th Street, all the way out past NE 110th Street which was called Chelsea Street at that time.
Morningside was one of the few development projects that far out in the northeast area, a plat name for houses between NE 90th to 95th Streets. There was a Morningside Market at 9118 35th Ave NE and a Morningside Church at the intersection of 35th Ave NE & NE 95th Street (present site of a veterinary clinic).
The census of 1940: Chelsea shifts eastward
By the time of the census of 1940, northeast Seattle had grown in population so that more enumeration districts had to be drawn. An enumeration district was sized for one person (the census taker) to be able to visit every house during the month of April.
For the census of 1940 a dividing line was set along 35th Ave NE. The Chelsea Enumeration District was defined as east of 35th Ave NE along NE 110th Street, all the way over to the shore of Lake Washington. This was surprising to see because the original Chelsea was on the west side of 35th Ave NE where Chelsea was a plat name and where there was a Chelsea Store on the corner of NE 110th Street.
The home of Samuel & Jasmine Ware and others being promoted as Chelsea in real estate advertisements of the 1920s, were all located east of 35th Ave NE. From his home at 11053 38th Ave NE, Samuel Ware could access the highway to travel to his job at the phone company. Promotors of Chelsea in the 1920s knew that their prospective home buyers would necessarily have to be car owners, as well, as there was no other way to get around northeast Seattle.
The phantom of the Chelsea
Today the Chelsea neighborhood name has completely faded, though a phantom marker floats on the properties info map for the neighborhood just east of 35th Ave NE.
Chelsea here is shown between 38th to 39th Avenues NE in the 11500 block. This phantom Chelsea is a remnant of the real estate promotions of the 1920s.
If a survey was conducted now, residents east of 35th Ave NE might say that they live in Meadowbrook or Lake City.
Some people who live farther to the east near Sand Point Way NE, might say that they live in the Sand Point or even the Matthews Beach neighborhood, though that beach is at NE 93rd Street on Lake Washington. Certainly the City of Seattle neighborhood map atlas says so!

City of Seattle neighborhood map for the northeast area from NE 95th Street to the City Limits at 145th Street. The center line is 35th Ave NE, showing Meadowbrook only west of the arterial.
Sources:
“Chelsea The Subdivision Beautiful,” Seattle Daily Times, May 20, 1920, page 13.
“Chelsea A Place of Beautiful Homesites.” Seattle Daily Times, June 6, 1920, page 12.
“A pretty home wedding.” Seattle Daily Times, August 15, 1920, page 39.
“The marriage of Miss Dorine Ernst,” Seattle Daily Times, May 31, 1922, page 9.
City Limits: The north Seattle City Limits were finally set at 145th Street in 1954. It was a gradual process through the 1940s and 1950s when election precincts voted themselves into the City. The “directional designations” changed in 1961 so that East 75th Street, for example, became NE 75th Street. At the end of my blog article about Election Districts is a source list to the dates and a map of precincts. Info about the inclusion of separate cities, such as Ravenna, is in this article about annexations. Info about the system of Seattle street names is in this article.
City of Seattle neighborhoods — geographic indexing.
Property info: Puget Sound Regional Archives, repository of the property records of King County. The photo of the Samuel & Jasmine Ware home at 11053 38th Ave NE is from the collection of photos by the property tax assessor. The house was built in 1920 and lived in by the Wares for the rest of their lives.

Home wedding of Jasmine Ware’s sister Dorine in 1922. At the end of the article it is mentioned that Mr. and Mrs. Samuel Ware were “out of town guests” because they lived in Chelsea. Seattle Daily Times, May 31, 1922, page 9.







