The year 2022 marked one hundred years since the first store opened in what is now defined as the Wedgwood neighborhood, between NE 75th to 95th Streets in northeast Seattle.
The north-south arterial 35th Ave NE is the central core of Wedgwood with its main business district at the intersection of NE 85th Street.
This blog article will give a capsule history of business in Wedgwood and a preview of the changes that are coming as the commercial district at NE 85th Street faces redevelopment.
In June 2022 it was announced that the long-time owner of the Wedgwood Shopping Center at the southeast corner of 85th & 35th, is getting ready to sell. A developer, Security Properties, is the interested buyer and has plans to clear the site and build all new buildings. The developer must first go through the City of Seattle Design Review process and then apply for permits.
Financially, the developer stated that things are on hold until at least 2025, so we can only guess that development would not start until sometime in 2026. Businesses in the present shopping center, such as the Wedgwood Broiler restaurant, are planning to operate at least through 2025.
This blog post will be updated as more news comes out. Here is the link to the Security Properties website for the Wedgwood project.
The late-developing northeast region of Seattle
At what is now downtown Seattle, white settlers first built their cabins in 1852. More than seventy years after that city-founding date, as of the 1920s northeast Seattle still had very few residents.
Up until the 1920s, the few residents of what is now Wedgwood had to do without electricity, running water and roads. The main road was 35th Ave NE which was more like a path, as it was unpaved.
Even in those early days some Wedgwood-area residents had cars, but because side-streets were not put through, they might leave their car close to 35th to avoid getting stuck in the mud. One early resident, Dorothy who lived at the corner of NE 80th Street, told me that in early days before 1920, one car per day would come along 35th Ave NE.
The first store in Wedgwood
In the 1920s the future Wedgwood neighborhood was settled by a number of immigrants who were looking for a place to gain a foothold. One was the Jacklin family, ethnic Russians who had spent about ten years in Latouche, Alaska, before coming to Seattle.
In 1918 the Jacklins completed a house at 7528 35th Ave NE and in 1922 they opened a little grocery store in what is now the garage next to the house. This was the first store in the (future) Wedgwood, a neighborhood which didn’t have a name at that time.
The Jacklins owned most of that block from the corner of NE 75th to 77th Streets. The Jacklins kept chickens and two cows on-site. At their store they sold milk for ten cents per quart. They sold chickens, eggs, and a few other basics.
The first business block
The next Wedgwood family to open an enterprise were the Shauers in the 8501 block, present site of commercial buildings including the Wedgwood Ale House and a bank. Like the Jacklin family, in the 1920s the Shauers began keeping chickens to sell along with eggs. They expanded their business into a real store building and added a gas pump.
In 1933 the federal government began easing out of Prohibition by allowing the sale of three-two beer (3.2% alcohol). The Shauer family opened a café and hired Charlie Hofsvang and his wife to tend the grocery store and café/beer parlor. The Hofsvang family lived as tenants in a house behind the café in what is now the parking lot behind the Wedgwood Ale House.

The Wedgwood Ale House, closed December 2023, was at 8515 35th Ave NE is in the same space as Mr. Shauer’s old store and gas station. The Wells Fargo Bank is on the former site of the Shauer’s house at the north corner of the block. Photo by Valarie.
The Shauer café & beer parlor, ancestor of the Wedgwood Ale House, was not only the first tavern in Wedgwood but was also the first business to change its name to Wedgwood.
After the Shauers moved away, the tavern became Hansen’s. In 1945 Mr. Hansen rebuilt to create the present commercial building at 8507 35th Ave NE with the tavern on one end.
Over many years’ time, different shops have been in the building adjacent to the tavern, including McVicar Hardware. Other shops there have included bicycles, a dance studio, florist and barber. At the north end of the block, corner of NE 86th Street, is a separate building which has been a bank since the early 1970s. Previous to the bank, a building (torn down) had the Wedgewood Pharmacy.
Balch’s housing development gives its name to the neighborhood
By 1945, Balch’s first Wedgwood group of houses was filling up with residents, and businesses were attracted to the expanding customer base.
With the Wedgwood development’s northern edge at NE 85th Street, Mr. Hansen seems to have caught onto the idea and he renamed his business the Wedgwood Tavern.
Other businesses followed suit and soon there were a number of Wedgwood-names in the neighborhood: Wedgewood Pharmacy, Wedgwood Presbyterian Church, Wedgwood Texaco and Wedgwood School. The 1954 naming of Wedgwood School seemed to solidify it as the name of the neighborhood.
Sadly, the Wedgwood Ale House at 8515 35th Ave NE closed in December 2023 because the building had been sold and the new owner of the building planned a different use. The new Wedgwood Public House opened in 2024.
Filling up the business district in the 1940s-1950s
In 1956 the Jacklin’s daughter, Priscilla Yeager, wrote an article called “The Old Days are Long Gone,” in the Wedgwood community newsletter. Priscilla interviewed her mother, Pauline Jacklin, about the early store at their house at 7528 35th Ave NE and about the changes in the neighborhood over the years.
Priscilla Yeager also interviewed Albert Balch, creator of Wedgwood houses, and asked him how he’d chosen the name “Wedgwood.”
Balch recounted that his wife Edith had not liked the name “View Ridge” which had been Balch’s previous development, so he told her she could choose the name for the next housing group. Edith Balch chose the name Wedgwood as an allusion to the wooded character of the new development and as a tribute to an English craftsman, Josiah Wedgwood.
By the mid-1950s Albert Balch had built more sections of Wedgwood houses and by that time he had also acquired ownership of three corners of the intersection of NE 85th Street. Balch was not a commercial developer, so he leased out these corners to businesses. Balch wanted to create a business district with a variety of services which would help make Wedgwood a convenient place to live.

Balch office buildings as seen in 1962. At left is the present Seattle Audubon Society office, 8050 35th Ave NE, which formerly was Balch’s own office. At right the C-shaped sign was at Crawford & Conover, Balch’s real estate outlet. Photo #76719, Seattle Municipal Archives.
Balch built medical-dental offices in the block adjacent to his office at 8050 35th Ave NE. The next building, 8044 35th Ave NE, had the C-shaped sign for Crawford & Conover. Balch acquired the trademark rights for this real estate name which dated back to the 1880s.
The next hundred years in the Wedgwood business district
Along with Priscilla Yeager we might now say that the old days in Wedgwood are disappearing, because of changes in the types of businesses and the tearing down of commercial buildings.
In the 1950s Balch facilitated the building of banks and stores at the NE 85th Street intersection, and a restaurant called the Sir Wedgwood. The business intersection of NE 85th Street has retained some of its 1950s character with buildings built in that era. Since 1959 there has been a Wedgwood Shopping Center at the southeast corner of the intersection with a grocery store, the Wedgwood Broiler restaurant, and other stores and offices added over the years.

Tradewell, built in 1959, as seen in 1962. This building was remodeled to become QFC in the year 2000. Seattle Municipal Archives photo 76718.
The grocery store in the Wedgwood Shopping Center was originally built in 1959 for Tradewell. For about ten years, 1989-1999, it was Matthew’s Red Apple. The last tenant of the grocery store building was QFC which closed in April 2021. Now the nearest grocery is the Safeway at the intersection of NE 75th Street.
In June 2022 it was announced that the long-time owners of the Wedgwood Shopping Center were getting ready to sell the property. A developer, Security Properties, is the interested buyer and has a plan to demolish all the present structures, which are the (closed) grocery store building, the Wedgwood Broiler restaurant and all the other shops.

The now-closed bank building at 8702 35th Ave NE has been bought by Homestreet Bank. They will use it as a temporary location in the event that the Wedgwood Shopping Center is torn down.
Homestreet Bank on the present site of the shopping center, has made a definite reservation to come back in the new complex, if it is built. In the interim, Homestreet has a contingency plan for a temporary location so that they will continue to have an office in the neighborhood. They bought the closed bank building at 8702 35th Ave NE so that Homestreet can use it to keep operating, at such time as the Wedgwood Shopping Center is torn down.
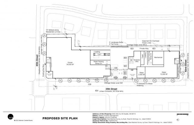
The proposed site plan diagram (below) for a new Wedgwood Shopping Center shows a new grocery store at left, on the north end of the lot replacing the now-closed QFC building (closed in April 2021). The new grocery store would have underground parking. No contracts with specific markets have yet been made, so we don’t yet know what grocer might come into the newly rebuilt space.
The rest of the space, replacing all of the present shops, would have ground-floor retail with apartments above. Wedgwood Neighborhood Development is the website where Security Properties will post progress reports.

Proposed site plan for the new shopping center. North is at left, bordering NE 85th Street. The developer is Security Properties. This drawing appeared in the Daily Journal of Commerce, June 29, 2022.
This redevelopment news has been a huge shock to the neighborhood. It is difficult to absorb what it will mean to lose the beloved Wedgwood Broiler as well as the other stores in the present shopping center.
The year 2022 is the start of the next hundred years in the Wedgwood business district with potentially more new types of buildings and businesses.





