By the time that the new Northeast Branch Library, 6801 35th Ave NE, opened in 1954, the previous land owners had been gone for quite a few years and it was a different landowner who had sold the site to the library. But even in the 1950s the blocks around the library still bore the stamp of the activities of Marvin & Isabella Jones of early in the 1900s.
Marvin F. Jones was born in 1838 in New York. As a young man he began a westward journey which would finally bring him to Seattle in the 1890s.
In the 1860s Marvin Jones joined a wagon train out to Oregon where he worked as a teacher and attorney. In the 1870s Jones moved to Walla Walla, Washington, where he practiced law and also became very successful in land developments. Although he retained some of his investments in Walla Walla, Jones suddenly moved to Seattle in 1893. Perhaps he had decided that the City of Seattle had brighter prospects for business. The economic depression of the year 1893 had hit Seattle very, very hard and perhaps Jones thought that it was a good time to acquire properties at reduced prices.
The Ravenna farm of Marvin & Isabella Jones

Ravenna was marked as a stop on the railroad line as of this map of 1894 called McKee’s Correct Road Map.
Marvin Jones married for the first time at age 55 in the 1890s in Seattle, and he and his new wife Isabella moved to the property which they called their farm, on the outskirts of the Ravenna neighborhood.
Beginning in 1888, land investor W.W. Beck had begun promoting the development of a community near the Ravenna stop on the Seattle, Lake Shore & Eastern Railroad (today’s Burke-Gilman Trail).
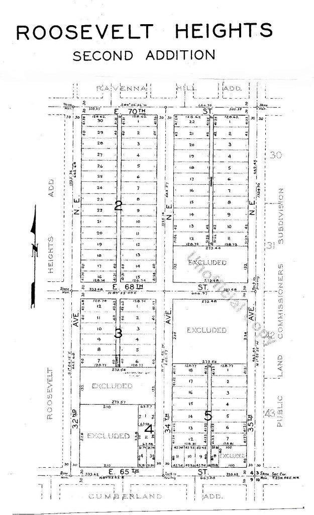
A portion of Ravenna south of NE 65th Street was annexed to the City of Seattle in 1907. The property of Marvin & Isabella Jones was to the north, outside of the City Limits, between NE 65th to 70th Streets, 30th to 35th Avenues NE.
The farmer becomes a philanthropist
Marvin Jones called himself a “farmer” because he was semi-retired and liked to grow things on his land, especially apple trees, but his actual income was in business investments. He turned 70 in 1908 and he then stated his desire to share his wealth in charitable causes. In that era there was no social safety net except for charitable organizations which were privately funded. The first group that Marvin Jones helped was the Washington Childrens Home Society, which established their site at 3300 NE 65th Street in 1908. Some of the children were orphans and others had a single parent who needed help with the care of the family.

Judge King Dykeman came to Seattle as a sixteen-year-old orphan in 1890. He rose to become the first judge in the new juvenile justice system.
In the early 1900s a coalition of Seattle attorneys and judges worked to get a state law passed for the first juvenile justice system. This law allowed for children and teens to be taken into protective custody if they were found to be abused, neglected, homeless, begging on the streets, shoplifting for food or being used by adults for criminal purposes such as pickpocket gangs.
One of the proponents of the new juvenile justice legislation was attorney Everett Smith, executor of the wills of Mr. & Mrs. B.F. Day of Fremont in Seattle. After the deaths of Mr. & Mrs. Day, Smith donated their house to be a refuge home for girls.
Another promoter of the juvenile justice law was Judge King Dykeman who with his daughter Ruth helped sponsor the Ruth Home for Girls. This home, operated by a charitable organization, gave the judge a place to send teenage girls other than jail. The Ruth Home, on land donated by Marvin Jones, was at 3404 NE 68th Street from 1921 until 1933 when it moved to Burien. The Ruth Home operated continuously until 2010 when it merged with Navos.

The corner of 34th Ave NE at NE 68th Street now has these three brick houses built in 1948, on the former site of the Ruth School.
By the time of Marvin Jones’ death in 1917, the land he owned hosted three charitable institutions: the Seattle Children’s Home at 3200 NE 65th Street; the Theodora Home for widows, mothers and children at 6559 35th Ave NE; and the school for teenage girls at 3404 NE 68th Street (used by two different organizations over time, the Martha Washington School and the Ruth School — see source list at the end of this article.) The former site of the girls school, the corner of 34th & 68th, now has houses built in 1948.
The widow becomes a developer
Marvin & Isabella Jones owned forty acres from 30th to 35th Avenues NE, NE 65th to 70th Streets, which is a five-block square. Before Marvin Jones died in 1917 he had given away land sections to the above three charities, but the rest of his property was still available with no other houses on it except his own. Isabella was 25 years younger than her husband and, widowed at age 55, Isabella began platting her land marked out with lots to sell, where houses would be built.
The Roosevelt Heights plats: First and Second Additions
A “plat” is any area of land which has been marked out with streets and lots so that people can buy sites for houses or other buildings. Isabella Jones filed the first plat, called Roosevelt Heights, in 1919. It included only the western portion of her land between 30th to 32nd Avenues NE.

McKee’s Correct Road Map of Seattle and Vicinity, 1894, shows the railroad line. Courtesy of the Seattle Room, Seattle Public Library. The snaking line of the SLS&E Railroad is shown through the communities of Fremont, Latona (Wallingford), Ravenna, Yesler (Laurelhurst) and north past Sand Point.
We don’t know why Isabella chose the name “Roosevelt Heights Addition” for her plat, instead of a name with the word “Ravenna” in it. Perhaps she thought that there were already too many other developments named Ravenna. The original Ravenna was centered around the park and railroad stop closest to 25th Ave NE and NE Blakeley Street. By 1919 there was a Ravenna Hill Addition to the east, and a Ravenna Park Addition to the west of the Jones property.
The town of Ravenna had been absorbed into the City Limits south of NE 65th Street, and it may be that because her land was north of NE 65th Street, Isabella thought that technically her land was in the Roosevelt District. As a sales point, she also wanted to emphasize that the land sites were on a “heights,” as they were on a high point above the Ravenna valley of 25th Ave NE.
When Isabella Jones filed the Roosevelt Heights Second Addition in 1930, that map, shown here, had three areas marked “excluded” for the Childrens Home, the Theodora and the Ruth School for Girls. The rest of the plat was marked out with house lots for sale.
Houses in Roosevelt Heights (First Addition) in the 1920s
With housebuilding in the 1920s Isabella Jones began to transform her former farm property into a neighborhood of urban homes. Property records and the census show that contractors and building trades people were buying lots for houses in the relatively prosperous era of the 1920s. Many of the houses were finely built with Tudor styling and brick fronts. Some examples were:
William F. Ford, a builder, lived at 6807 32nd Ave NE.
Clyde Keeler of 6831 31st Ave NE owned a construction company called Builders Service & Specialties with its office at 55th & Brooklyn.
The Roosevelt Heights neighborhood today
It has been one hundred years since Isabella Jones filed the first Roosevelt Heights plat and began to transform her property into a residential neighborhood. The Seattle City Limits eventually grew out to include Roosevelt Heights.
Today the Roosevelt Heights neighborhood near the Northeast Branch Library is subject to the pressures of density; that is, more houses are being built and they are closer together, like the Bryant Heights project on the former Children’s Home block, extending from NE 65th to 68th Streets.
If Marvin Jones were alive today, he would probably find it hard to understand why there is no longer any Ruth School, Children’s Home or Theodora Home on the sites which he donated to them. These organizations evolved in their mission over the past hundred years, consolidated with other organizations and moved away.
Marvin Jones always wanted to do things for community benefit, so if he were alive today, Jones would be glad that his land is now the site of the Northeast Branch Library.
Source list:
HistoryLink Essays:
“Burien History,” HistoryLink Essay #10396 by Dotty Decoster, 2013. This essay includes info about the Ruth School, which moved from 3404 NE 68th Street to Burien in 1933.
“City of Seattle Annexes the Town of Ravenna on January 15, 1907,” HistoryLink Essay #3315 by Greg Lange, 2001.
“City of Seattle Annexes Six Towns in 1907,” HistoryLink Essay #1954 by Greg Lange, 2000.
“Gordon S. Clinton (1920-2011),” HistoryLink Essay #10000 by Cassandra Tate, 2012. Clinton served two terms as Mayor of Seattle from 1956 to 1964. When Gordon Clinton was about 15 years old, his father died, and his mother then moved the family into the Theodora Home. This HistoryLink essay’s description of the Theodora tells how this charitable organization functioned as a home for mothers and children during the era when there was no government welfare system or other social safety net. At the Theodora, families lived together. The children would be cared for while mothers found work in the neighborhood such as sewing or housekeeping.
“Martha Washington School for Girls,” HistoryLink Essay #10556, Seattle School Histories, 2013. This school operated from 1914 to 1921 at 3404 NE 68th Street on the site donated by Marvin F. Jones at the northeast corner of NE 68th Street & 34th Ave NE. The Ruth School for Girls used the site from 1921 to 1933 and then moved to Burien.
“Ravenna-Roosevelt Thumbnail History,” HistoryLink Essay #3502 by David Wilma, 2001.
“Washington Children’s Home Society opens Brown Hall in Seattle in 1908,” HistoryLink Essay #3464 by David Wilma, 2001.
Other sources:
Modernism 101 essay and biography of Paul Thiry, DoCoMoMo-WeWa website.
Navos: Between 2010 and 2015 both the Ruth Dykeman Children’s Center and the Seattle Children’s Home merged with an organization called Navos.
Northeast Branch Library History Scrapbook on display in the library, on the ledge by the seating area.
Northeast Branch Library Landmark Nomination Report, 2001. City of Seattle Historic Preservation
Theodora: In the year 2015 the Theodora closed. The sponsoring organization, Volunteers of America, consolidated their operations in Snohomish County. The Theodora building was redeveloped into a regular apartment building now called The MOD.





