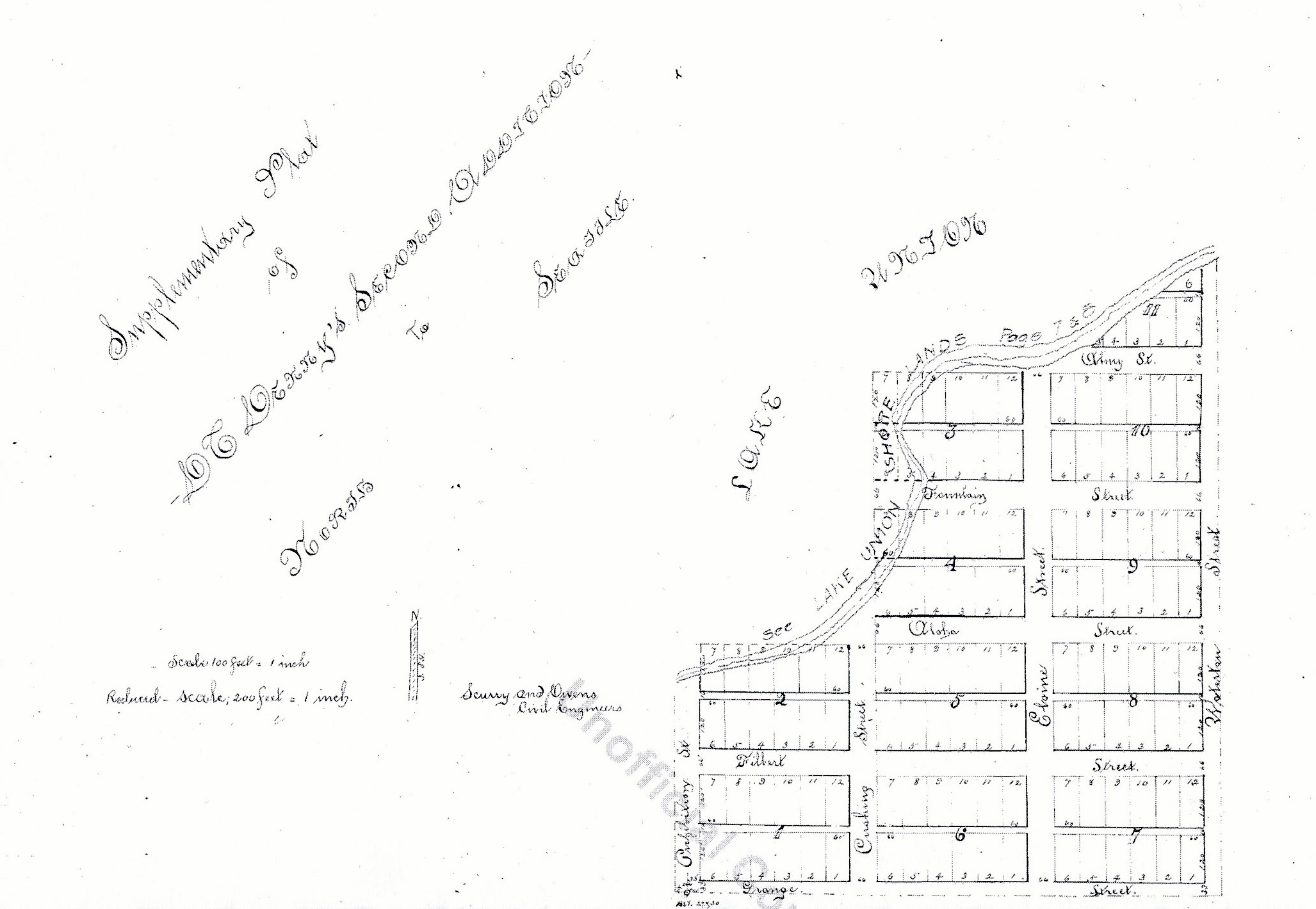
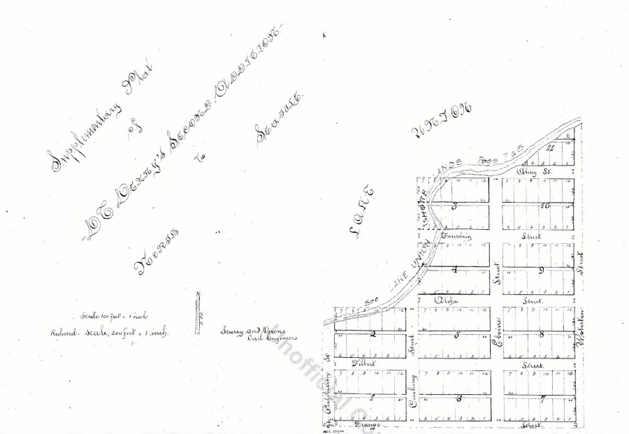
David Denny and his wife Louisa Boren Denny filed this plat in 1875. At left is the shoreline of Lake Union along what is now Fairview Avenue.
Searching for the Origins of Seattle Street Names
← Searching for the Origins of Seattle Street Names
David Denny and his wife Louisa Boren Denny filed this plat in 1875. At left is the shoreline of Lake Union along what is now Fairview Avenue.