Wedgwood in Seattle History
Valarie's blog, exploring stories of Seattle neighborhoods.
Skip to content
Home
About
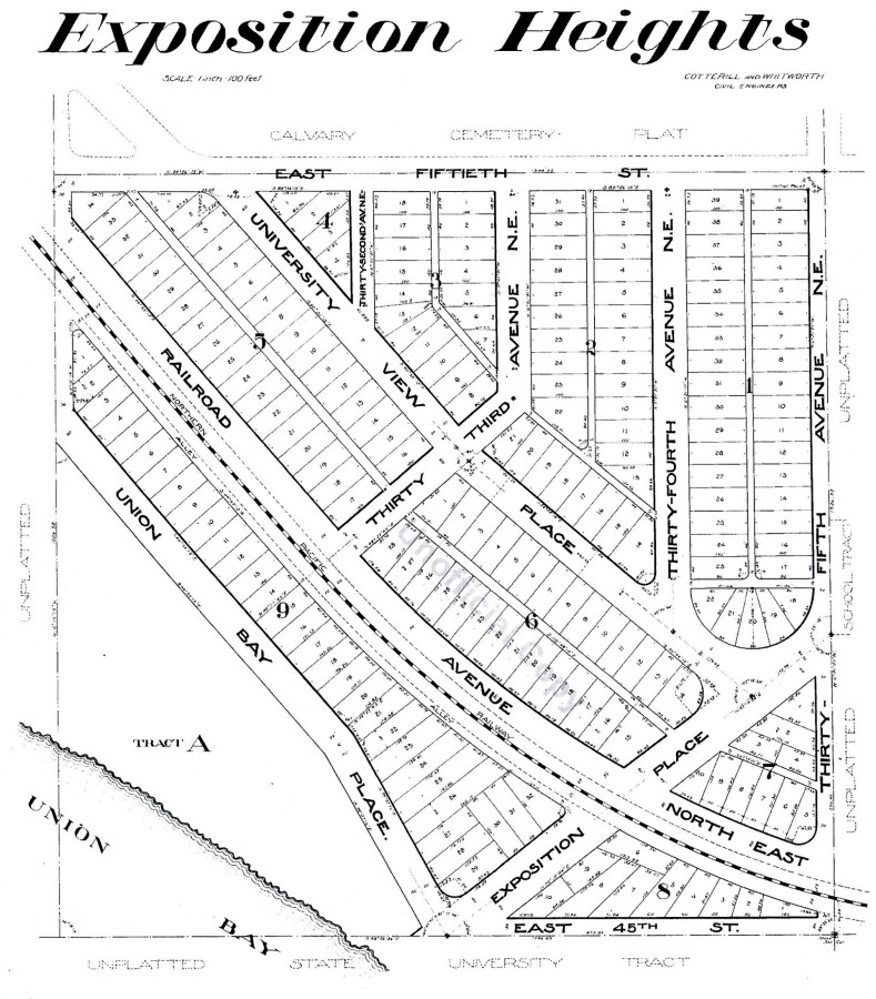
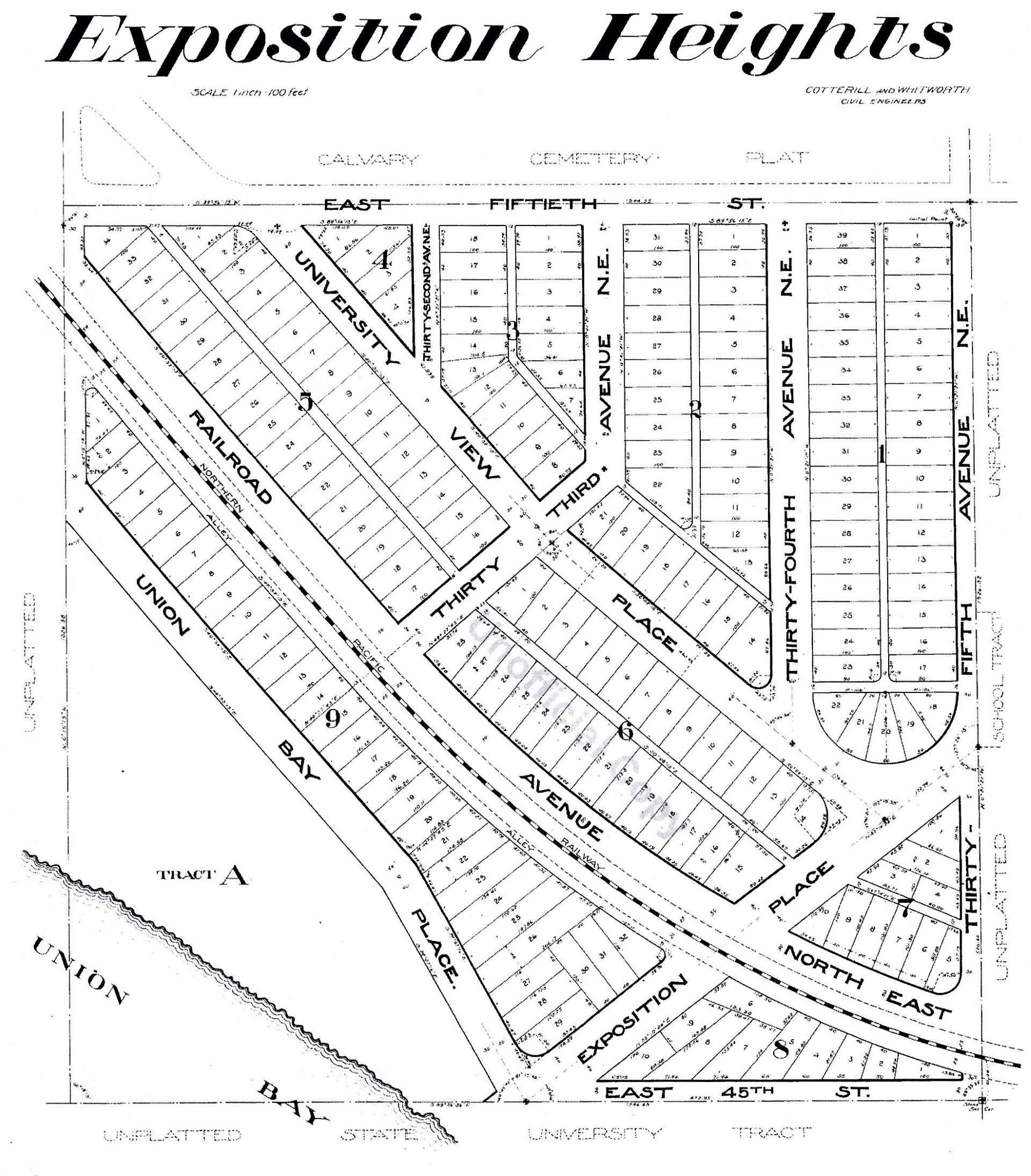
Exposition Heights plat map of 1907
By
Wedgwood in Seattle History
|
Published
June 7, 2023
|
Full size is
1920 × 2191
pixels
Baskin Robbins site showing Aegis plan.2022
Baskin Robbins Ice Cream
Bookmark the
permalink
.
What would you like to know about Seattle neighborhoods?
Δ
Comment
Subscribe
Subscribed
Wedgwood in Seattle History
Join 716 other subscribers
Sign me up
Already have a WordPress.com account?
Log in now.
Wedgwood in Seattle History
Subscribe
Subscribed
Sign up
Log in
Copy shortlink
Report this content
View post in Reader
Manage subscriptions
Collapse this bar