Wedgwood in Seattle History
Valarie's blog, exploring stories of Seattle neighborhoods.
Skip to content
Home
About
←
One Hundred Years in the Wedgwood Business District
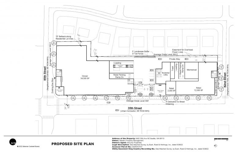
Shopping Center proposed site plan.29 June 2022
By
Wedgwood in Seattle History
|
Published
November 10, 2022
|
Full size is
768 × 497
pixels
Shopping Center redevelopment.June 29 2022 in the DJC
Balch offices in 1962 colorized photo.SMA #76719
Bookmark the
permalink
.
What would you like to know about Seattle neighborhoods?
Δ
Comment
Subscribe
Subscribed
Wedgwood in Seattle History
Join 721 other subscribers
Sign me up
Already have a WordPress.com account?
Log in now.
Wedgwood in Seattle History
Subscribe
Subscribed
Sign up
Log in
Copy shortlink
Report this content
View post in Reader
Manage subscriptions
Collapse this bar