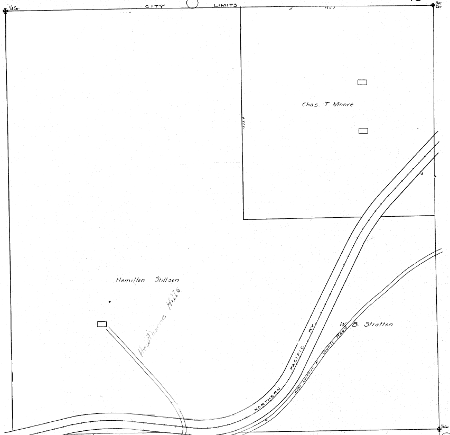
A Kroll map from the 1910s showing Stillson’s land, with land transfers to W.B. Stratton. McBride had already sold his land to Stratton.
Names in the Neighborhood: Before There Was A Hawthorne Hills
← Names in the Neighborhood: Before There Was A Hawthorne Hills
A Kroll map from the 1910s showing Stillson’s land, with land transfers to W.B. Stratton. McBride had already sold his land to Stratton.